
Kaasamine

18.09 algasid Peterburi tee rekonstrueerimistööd - ole valmis muudatusteks liikluskorralduses ning ühistranspordis! ➡️ Loe lisaks |
---|
Tere!
Oled jõudnud Tallinna kaasamise veebilehele – siia koondame info erinevate linnaruumi projektide kohta ning võimalused, kuidas saad ise kaasa rääkida ja panustada.
Siit leiad:
-
Käimasolevad ja planeeritavad projektid linnaosade kaupa
-
Kaasamisvõimalused: arutelud, küsitlused, ideekorjed
-
Uudised ja teated linna arengust
-
Korduma kippuvad küsimused ja teised kasulikud viited
Meie veebileht on pidevas täienemises ning Sinu tagasiside on meile oluline. Oma tähelepanekuid veebilehe parendamiseks saab jätta kaasamine@tallinnlv.ee.
Aitäh, et oled osa Tallinna kujundamisest!
Hetkel oluline
Lasnamäe
Peterburi tee
18. septembril algab Peterburi tee rekonstrueerimine. Tööd mõjutavad liikluskorraldust ning ühistranspordi liiklust muudetakse.
➡️Ehitustööde avalik tutvustus toimus 11. septembril kell 17.30 Eesti Ettevõtluskõrgkoolis Mainor (Suur-Sõjamäe 10a).
Loe edasiKristiine
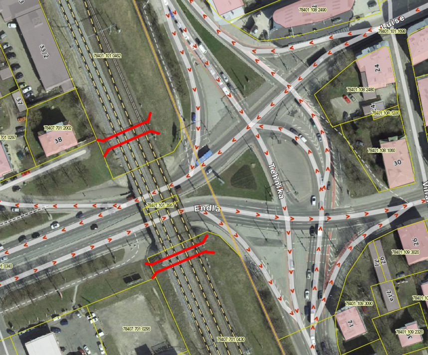
Endla tn tunnelid
22. oktoobril algab Endla tänava jalakäijatunnelite ehitus. Tunnelid loovad jalakäijatele ja ratturitele turvalise ning mugava liikumistee kesklinnast Kristiinesse.
➡️Ehitustööde avalik tutvustus toimub 8. oktoobril kell 17.30 Tallinna YouTube’i kanali kaudu
Põhja-Tallinn
Valgevase-Linda tn vahelise lõigu rekonstrueerimine
Eesmärk on rekonstrueerida tänav nii, et jalakäijate liikumine oleks turvalisem ja mugavam.
➡️Projekteerimistingimuste eelnõu avalik arutelu toimub Põhja-Tallinna Valitsuse 3. korruse saalis 21. oktoobril kell 16.00.
Loe edasiKesklinn
Hirve park
Kas oled mõelnud, kuidas Hirvepark pimedal ajal tundub ja kuidas sealne valgustus võiks parem olla? Nüüd on sul võimalus oma kogemusi ja ideid jagada. Kutsume osa saama Hirvepargi stseenariumite lauamänguõhtust!
➡️Lauamäng toimub: 19. septembril kell 16.00–18.30 Kaasamiskeskuses Avalinn (Vabaduse väljak 10).
Projekteerimistingimuste avalikud väljapanekud: 02.10.-16.10.2025 Lagedi tee 14a elektrivarustuse tagamise projekteerimistingimuste eelnõu avalik väljapanek ➡️ Loe edasi 18.09.–03.10.2025 Õismäe tee 109 jalgtee rajamise projekteerimistingimuste eelnõu avalik väljapanek ➡️ Loe edasi |